• تواصل معنا
  • خريطة الموقع
  • الدخول | التسجيل
    • تسجيل جديد
    • دخول الأعضاء
    • فقدت كلمة المرور

بحث

تسجيل جديد

عفواً ، التسجيل مغلق الآن يرجى المحاولة في وقت لآحق .

دخول الأعضاء

اسم المستخدم

كلمة المرور

فقدت كلمة المرور

الرجاء إدخال اسم المستخدم أو عنوان البريد الإلكتروني. سيتم إرسال رابط إلى بريدك الإلكتروني تستطيع من خلاله إنشاء كلمة مرور جديدة.

صحيفة جازان فويس

جازان فويس صوت جازان صحيفة الكترونية تهتم بنقل اخبار متنوعة من الوطن العربي وتختص بمتابعة اخبار منطقة جازان
 
  • جازان الرياضية
  • جازان الإجتماعية
  • جازان الاقتصادية
  • جازان الثقافية
  • جازان السياحية
  • جازان السياسية
  • 11/05/2026 غرفة جازان تنظّم لقاء الصناعيين بالمنطقة
  • 11/05/2026 أمير جازان يستقبل عضو هيئة كبار العلماء ومفوض الإفتاء لمنطقتي جازان وعسير
  • 11/05/2026 أمير منطقة جازان يستقبل نائب وزير الصناعة والثروة المعدنية لشؤون الصناعة
  • 11/05/2026 الحرب قد تتجدد خلال اسبوعين بعد ان ردت طهران بتمسك بمواقفها ثم رفض ترمب ردها على مقترح وقف الحرب
  • 11/05/2026 اختتام بطولة المملكة للتايكوندو “البومسي” بجازان
  • 11/05/2026 ترمب يرفض ردّ إيران على المقترح الأميركي
  • 11/05/2026 وزارة الخارجية: المملكة تدين بأشد العبارات الاستهدافات الغادرة للأراضي والمياه الإقليمية لكل من الإمارات وقطر والكويت
  • 11/05/2026 حالة الطقس المتوقعة اليوم في المملكة
  • 10/05/2026 ترامب يتوعد بقصف أي محاولة للاقتراب من اليورانيوم المخصب المدفون تحت الأرض في إيران
  • 10/05/2026 انطلاق تصفيات مسابقة “الفردوس” لحفظ القرآن الكريم بجازان

الأخبار الرئيسية

957 0
بمشاركة أكثر من 20 جهة تمثل قطاع الأعمال غرفة جازان توقع اتفاقيات برنامج عناية
بمشاركة أكثر من 20 جهة تمثل قطاع الأعمال غرفة جازان توقع اتفاقيات برنامج عناية
1002 0
تعليم صبيا يحتفي المتميزين والمتميزات في وقوفها الأولى تميزنا
تعليم صبيا يحتفي المتميزين والمتميزات في وقوفها الأولى تميزنا
1084 0
“القوات البحرية” تعلن عن وظائف على برنامج المساعدة الفنية في الرياض وجدة والدمام والخبر وجازان
“القوات البحرية” تعلن عن وظائف على برنامج المساعدة الفنية في الرياض وجدة والدمام والخبر وجازان
8028 0
وزير_الداخلية يوافق على تعيين أعضاء المجالس المحلية بمنطقة جازان
وزير_الداخلية يوافق على تعيين أعضاء المجالس المحلية بمنطقة جازان

جديد الأخبار

غرفة جازان تنظّم لقاء الصناعيين بالمنطقة
غرفة جازان تنظّم لقاء الصناعيين بالمنطقة
2 0

أمير جازان يستقبل عضو هيئة كبار العلماء ومفوض الإفتاء لمنطقتي جازان وعسير
أمير جازان يستقبل عضو هيئة كبار العلماء ومفوض الإفتاء لمنطقتي جازان وعسير
7 0

أمير منطقة جازان يستقبل نائب وزير الصناعة والثروة المعدنية لشؤون الصناعة
أمير منطقة جازان يستقبل نائب وزير الصناعة والثروة المعدنية لشؤون الصناعة
6 0

الحرب قد تتجدد خلال اسبوعين بعد ان ردت طهران بتمسك بمواقفها ثم رفض ترمب ردها على مقترح وقف الحرب
الحرب قد تتجدد خلال اسبوعين بعد ان ردت طهران بتمسك بمواقفها ثم رفض ترمب ردها على مقترح وقف الحرب
22 0

اختتام بطولة المملكة للتايكوندو “البومسي” بجازان
اختتام بطولة المملكة للتايكوندو “البومسي” بجازان
23 0

عام > فجر اليوم .. الفلبين تنتظر إعصار “حيان” أقوى إعصار يتم تسجيله عبر التاريخ “فيديو” (تحديث مستمر بالصور المتحركة )
08/11/2013   5:52 م

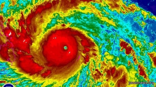
فجر اليوم .. الفلبين تنتظر إعصار “حيان” أقوى إعصار يتم تسجيله عبر التاريخ “فيديو” (تحديث مستمر بالصور المتحركة )

+ = -
0 1423
حسين صيرم
حسين صيرم 

29465

 .. أعلنت السلطة الفلبينية حالة الطوارئ القصوى ، إستعداداً لوصول ، أعتى الأعاصير المسجلة في التاريخ فجر اليوم الجمعة .

تحديث : صور متحركة لإعصار حيان (تابعوه من هنا ) 

rbtop-animated-6

typhoonanimation

وأطلق إسم Super Typhoon Haiyan ـ “حيان” ـ وفقا للمركز المشترك للتحذير من الاعاصير التابع للبحرية الأميركية .
ومن المتوقع بحسب الوكالة، أن تبلغ سرعة الإعصار ” Haiyan” ـ من الدرجة الخامسة ـ عند وصوله إلى قرية Guiuan، وهي مدينة صغيرة في مقاطعة سامار في شرق الفلبين، مع رياح قد تبلغ سرعتها 315/كلم (195) متوجهاً إلى وسط الفلبين ، بحزام سحابي قطره يفطي ثلثي مساحة الفلبين .

وتحتاج السلطات الفلبينية إلى تأمين مايقارب 10 مليون شخص يقعون في مناطق مهددة بشكل مباشر بكوارث مدمرة لا يمكن توقعها بسبب شدة الرياح المصاحبة والأمطار التي من المتوقع هطولها .

1383842332000_EPA_PHILIPPINES_

ومما يزيد الأمر سوء ، ضعف الإمكانات والتي قد لا تستطيع ، تأمين سلامة هذا العدد ونقلهم لمناطق أمنة ، وقد إقتضت صالات الملاعب والميادين في المناطق المرتفعة بالسكان ،الذين تم إجلاءهم من فجر أمس الخميس ، وباتت مسألة تأمين أخرين مستحيلة ، وبإنتظار ما سيسفر عنه الإعصار التاريخي من تأثيرات ذهب البعض من خبراء المناخ إلى الجزم أنها أي ـ حجم الكارثة ـ ستكون صعبة للغاية مادياً وبشرياً .

الصوت الموسيقي من المصدر ، ونعتذر عن ذلك .

http://www.youtube.com/watch?v=VqYJZ6c-JYM

فجر اليوم .. الفلبين تنتظر إعصار “حيان” أقوى إعصار يتم تسجيله عبر التاريخ “فيديو” (تحديث مستمر بالصور المتحركة )

عام
لا يوجد وسوم
(0)(0)

وصلة دائمة لهذا المحتوى : https://www.jazanvoice.com/4387/

ترانا بريس
المحتوى السابق المحتوى التالي
فجر اليوم .. الفلبين تنتظر إعصار “حيان” أقوى إعصار يتم تسجيله عبر التاريخ “فيديو” (تحديث مستمر بالصور المتحركة )
أمير جازان يترأس الجلسه الختاميه لمجلس المنطقه‎
فجر اليوم .. الفلبين تنتظر إعصار “حيان” أقوى إعصار يتم تسجيله عبر التاريخ “فيديو” (تحديث مستمر بالصور المتحركة )
جازان: المركب غرق بـ «صعدي» فباع منزله وزوّج بناته القاصرات

للمشاركة والمتابعة

أضف تعليقاً إلغاء الرد

لن يتم نشر عنوان بريدك الإلكتروني. الحقول الإلزامية مشار إليها بـ *

  • جازان الإجتماعية
  • جازان الاقتصادية
  • جازان الثقافية
  • جازان الرياضية
  • جازان السياحية
  • جازان السياسية
  • مقالات جازان فويس
  • كاركتير

Copyright © 2026 www.jazanvoice.com All Rights Reserved.

جميع الحقوق محفوظة لـ ترانا لتقنية المعلومات

Powered by Tarana Press Version 3.3.1
برمجة وتصميم ترانا لتقنية المعلومات | ترانا بريس